Forrást nézem, kedvelem ott Lottónyertesek, akiknek összeomlott az életükBorzalmas történetek.Volt, akinek pokollá vált az élete a nagy nyeremény után.
Új dimenzióba lépett az azeri–magyar energetikai együttműködés | DemokrataA Magyarország és Azerbajdzsán közötti bértárolási… Folytatódik... Forrást nézem, kedvelem ott
Ilyen volt Európa legnagyobb tűzijátéka – GALÉRIA | DemokrataLenyűgöző látvány koronázta meg az idei Szent István-napi ünnepet a nemzet… Folytatódik... Forrást nézem, kedvelem ott
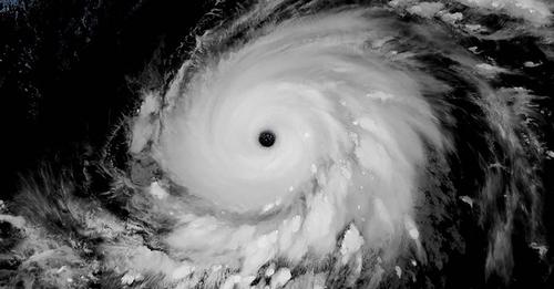
Kalifornia felkészül a Hilary hurrikán érkezéséreA vihar várhatóan szelídül, mire eléri a partot, azonban még így is jelentős… Folytatódik... Forrást nézem, kedvelem ott
Elon Musk most magát gáncsolná elA milliárdos legújabb ötletével megölheti a korábban Twitterként ismert közösségi oldaltA milliárdos… Folytatódik... Forrást nézem, kedvelem ott
Budapest nézhette végig Európa legnagyobb tűzijátékát + GALÉRIAPazar látvánnyal ért véget az államalapítás ünnepePazar… Folytatódik... Forrást nézem, kedvelem ott
Orbán Viktor: Isten éltessen, Magyarország! - fotóA miniszterelnök új fényképet osztott meg! Nagyon nézem... Forrást nézem, kedvelem ott
A baloldali propagandalapok világában nem is volt tűzijátékHelyette LMBTQ-hírekkel és ukrán propagandával szolgáltak az olvasóknak.Egy szóval sem… Folytatódik... Forrást nézem, kedvelem ott
Európa legnagyobb tűzijátéka zárta az ünnepetAz államalapítás ünnepét Európa legnagyobb tűzijátéka koronázta meg. Budapesten a… Folytatódik... Forrást nézem, kedvelem ott
Halász Bence édesapja büszke, de azért reménykedett a győzelembenAz immáron kétszeres világbajnoki bronzérmes Halász Bence édesapja, Halász… Folytatódik... Forrást nézem, kedvelem ott